
MARYAM FARZAD, Lic. #: 01417813
DYNASTY REAL ESTATE
ph: 949-495-5335
fax: 949-868-8527
Maryam
Property Profile
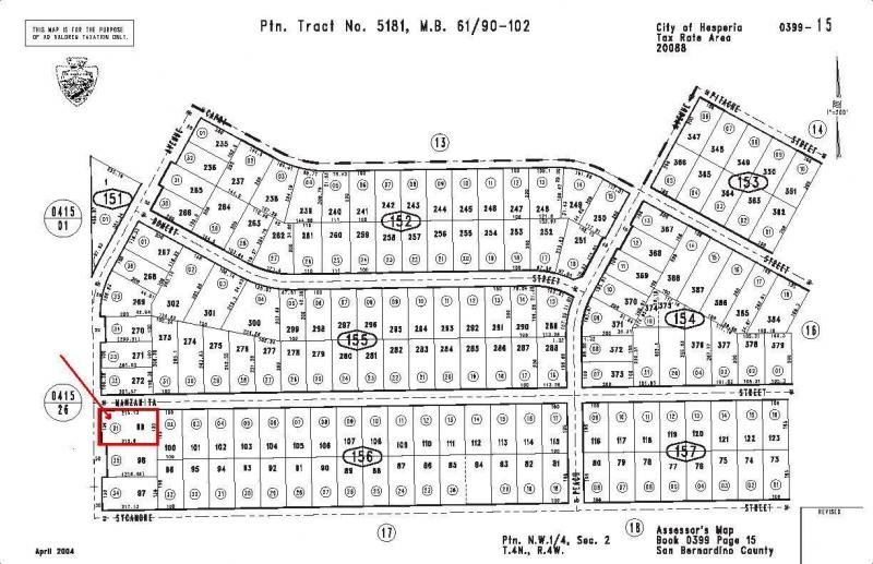
Vacant Land: Manzanita Street & I Avenue, Hesperia, CA 92345
Apn #: 0399-156-01-0000
Current Zoning: Single Family Residential
Parcel Size: 0.64 Acres (27,900 Sq. Ft. Apx. )
Offered At Only : $42,000.
This is a very nice shaped, over 1/2 an acre parcel of land, in a great part of Hesperia, south of Bear Valley Rd., minutes away from the Victor Valley Mall/Town Center, the Victor Valley Community College, the Golf Courses, etc. Parcel has a great frontage on both I Ave and also Manzanita Street.



ALL MAPS, POINTERS, DRAWINGS, SIGNS ON PARCELS, ARE APPROXIMATIONS BASED ON PLOT MAPS, AND ARE NOT PLACED BY A SURVEYOR. PLEASE CHECK WITH A SURVEYOR, CITY OFFICES OR COUNTY OFFICES FOR FURTHER VERIFICATIONS. All Opinions expressed in this site are the sole responsibility of the individuals, agencies or company's that have expressed them. No guarantee or declaration is made as to the investment value or return potential, the market value, the resale potential, or the potential for the imminent zoning, use or development of all or any portion of any land parcel. In effect Conduct your own independent evaluation of all subject matters and investigate and research ALL PROPERTIES thoroughly and independantly.
Copyright 2011 My Business. All rights reserved.
MARYAM FARZAD, Lic. #: 01417813
DYNASTY REAL ESTATE
ph: 949-495-5335
fax: 949-868-8527
Maryam